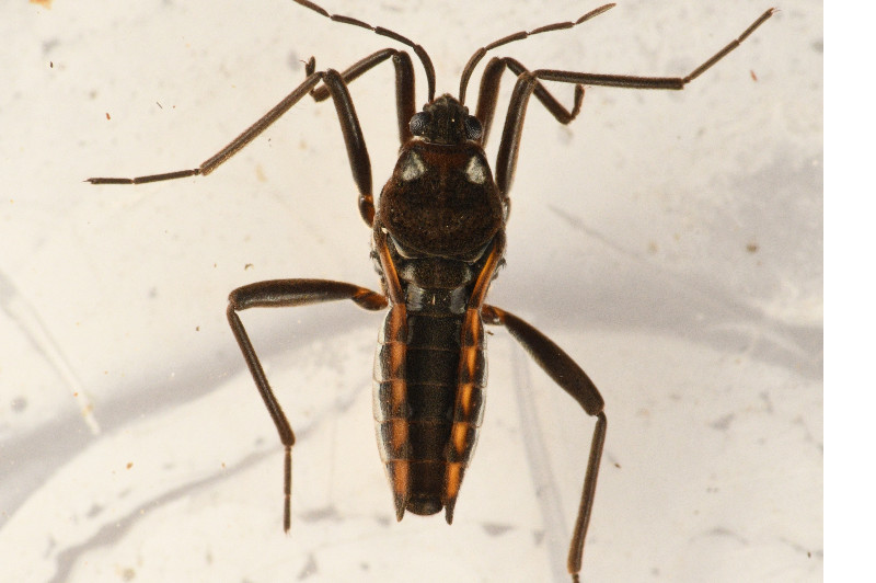
Observation n° 1021717 Velia caprai

Informations

Donnée considérée comme probable

Source de la donnée : Terrain
Type de donnée : Publique

Date : 23/01/2025

Date de saisie : 24/01/2025

Localisation

Villetrun (41)

Observateur(s) (CERCOPE)

avatar Philippe DÉSIRÉ

Détail de l'observation

Naturalité : Sauvage
- Imago ( 1 )
Etat biologique : Observé vivant
Contact : Vu
Prospection : Troubleau
Statut biologique : Inconnu
Comportement : Non renseigné
Déterminateur : Philippe DÉSIRÉ
Remarque : 6.9 mm. Femelle aptère.

UUID SINP : e76bb1c0-3beb-4b5e-88b1-bf69f0dde5af

Photo(s)


Facebook Linkedin email