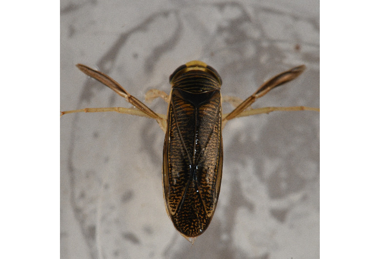
Observation n° 1023291 Sigara striata

Informations

Donnée considérée certaine, très probable

Source de la donnée : Terrain
Type de donnée : Publique

Date : 27/01/2025

Date de saisie : 16/02/2025

Localisation

Mare communale - Saint-Léonard-en-Beauce (41)

Observateur(s) (CERCOPE)

avatar Philippe DÉSIRÉ

Détail de l'observation

Naturalité : Sauvage
- Imago ( 1 )
Etat biologique : Observé vivant
Contact : Vu
Prospection : Troubleau
Statut biologique : Inconnu
Comportement : Non renseigné
Déterminateur : Sébastien DAMOISEAU

UUID SINP : 40effb83-d980-46d7-bdb1-49cae71ab24f

Photo(s)


Facebook Linkedin email