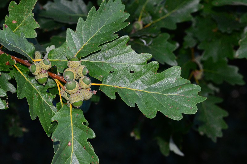
Observation n° 938570 Quercus petraea

Informations

Donnée considérée certaine, très probable

Source de la donnée : Terrain
Type de donnée : Publique

Date : 06/08/2022

Date de saisie : 12/08/2022

Localisation

La Chapelle-Enchérie (41)

Observateur(s) (Perche Nature)

avatar Philippe DÉSIRÉ

Détail de l'observation

Naturalité : Sauvage
- Fruit ( 10 non différencié(s) )
Etat biologique : Observé vivant
Contact : Vu
Prospection : A vue
Statut biologique : Non renseigné
Comportement : Non renseigné
Déterminateur : Philippe DÉSIRÉ

UUID SINP : e7e3982d-1ac4-4bba-b684-cb196370dae1

Photo(s)


Facebook Linkedin email