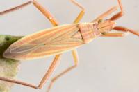
Observation n° 976968 Notostira elongata

Informations

Donnée considérée comme probable

Source de la donnée : Terrain
Type de donnée : Publique

Date : 10/11/2023

Date de saisie : 10/11/2023

Localisation

château d'eau Sainte-Gemmes - Épiais (41)

Observateur(s) (Perche Nature)

avatar Philippe DÉSIRÉ

Détail de l'observation

Naturalité : Sauvage
- Imago ( 1 )
Etat biologique : Observé vivant
Contact : Vu
Prospection : A vue
Statut biologique : Inconnu
Comportement : Non renseigné
Déterminateur : Sébastien DAMOISEAU
Remarque : 8.0 mm, femelle de génération automnale.

UUID SINP : b8231b3b-22d8-4671-bd98-05cacd301791

Photo(s)


Facebook Linkedin email