Relevé n° 194124

Informations

Source : Terrain
Type de donnée : Publique

Date : 30/01/2025

Localisation

Etang de St-Mandé 1 - Vievy-le-Rayé (41)

Observateur(s) (CERCOPE)

avatar Philippe DÉSIRÉ

Liste des espèces (5)

Coléoptères (4)

Carabidae (2)

Curculionidae (1)

Elateridae (1)

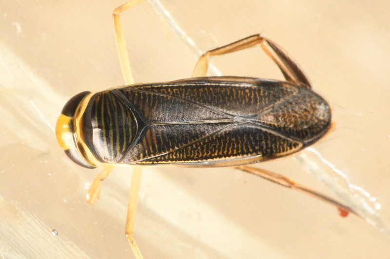
Hémiptères (1)

Corixidae (1)

Facebook Linkedin email

13 photos sur observation(s)

Carabidae

Dromius quadrimaculatus Pterostichus strenuus Pterostichus strenuus Pterostichus strenuus

Curculionidae

Dorytomus longimanus Dorytomus longimanus

Elateridae

Ampedus sanguinolentus Ampedus sanguinolentus Ampedus sanguinolentus Ampedus sanguinolentus

Corixidae

Sigara striata Sigara striata Sigara striata